Home 2.0 Blog Archive

Saturday, February 21, 2015

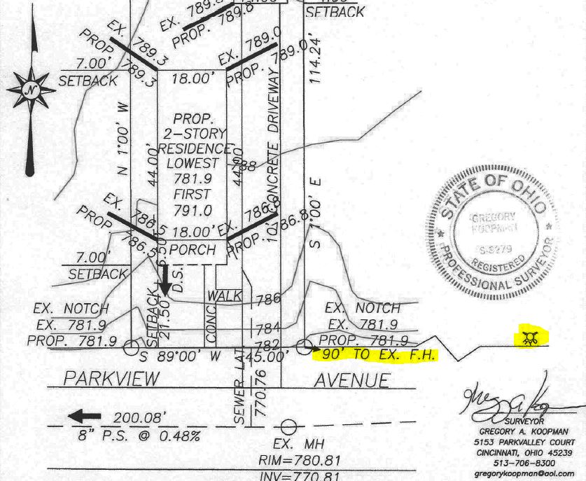
PLOT PLAN UPDATE

Plot Plan Modification

As I mentioned in a previous blog post on plan review comments, the City of Cincinnati Fire Division has required me to revise the plot plan to indicate the location of the nearest fire hydrant on the drawing in order to prove that the building structure is within 400 feet of a public hydrant. A few days ago I received an updated plot plan from my surveyor showing exactly that, so I am hoping now that the Fire Division has this new information, they will approve the plot plan so I can focus my attention on addressing some of the other plan review comments that have since come in from other divisions.